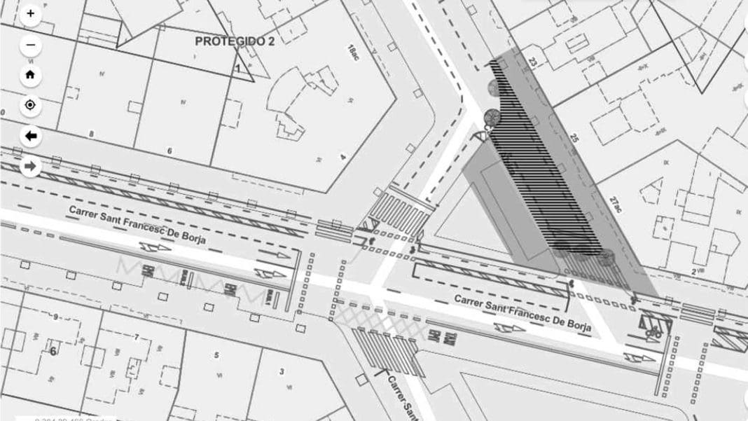
El Ayuntamiento de València ha decidido adjudicar la redacción de proyectos de mejora de la movilidad peatonal en los distritos de Extramurs y Algirós. En concreto, el servicio de Movilidad del consistorio ha aprobado la redacción de los proyectos para la conversión en zona peatonal del cruce de la calle San Francisco de Borja con la calle Alzira, en Extramurs, y para la ejecución de pasos de peatones semaforizados en la confluencia de la avenida Catalunya con la calle Clariano, en Algirós.
La administración local ha precisado, en un comunicado, que el proyecto de conversión en zona peatonal del cruce de las calles de San Francisco de Borja y Alzira se hará eliminando uno de los carriles de salida del tráfico motorizado hacia esta primera vía.
La redacción de este proyecto se ha adjudicado a la empresa Soluciones Civiles y Técnicas SLL por un importe de 3.509,00 euros (IVA incluido) y un plazo de ejecución de dos meses.
Una vez sea redactada y aprobada, esta actuación contará para su ejecución con una subvención del Instituto Valenciano de Competitividad Empresarial (IVACE) de 18.415,80 euros –el 60% de su presupuesto base–, ha concretado el Ayuntamiento.
Así, ha expuesto que el consistorio es beneficiario de un paquete de ayudas a proyectos de fomento de la movilidad urbana sostenible convocado por el IVACE con cofinanciación de la Unión Europea a través del Programa Fondo Europeo de Desarrollo Regional (FEDER) de la Comunitat Valenciana 2021-2027.
La otra adjudicación es la de la redacción del proyecto para la instalación de pasos de peatones regulados con semáforos en la avenida Catalunya, concretamente en la zona sur de la glorieta en la intersección con la calle Clariano. En este caso, la empresa adjudicataria ha sido GECIVAL SL por un importe de 3.811,50 euros (IVA incluido) y un plazo para la redacción del proyecto de un mes.







